澳大利亚被海洋环绕,拥有数不尽的岛屿和珊瑚礁,潜水已经成为这里旅行的必备项目,没来澳大利亚潜过水你好意思说你是潜水控? 今天就让我们先来八一八
澳大利亚哪些地方的珊瑚礁最值得一潜~
Round1
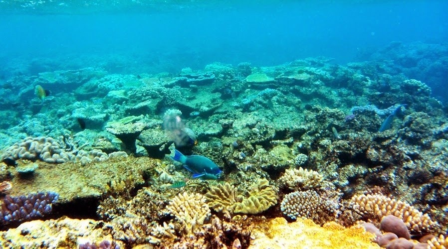
你所不知道的大堡礁
这个举世闻名、被列入世界自然遗产名录的地点,不得不说是大自然最骄傲的杰作之一。相信评选澳大利亚之最向往旅游地点,大堡礁必定名列前茅。可是,由于生态环境的变化,大堡礁的珊瑚正在减少,所以亲,手动点赞认证需趁早啊!
☆大堡礁最佳游玩时间:
每年5月到10月之间(即本地的深秋、冬季和初春)气候较为稳定、清爽宜人,多为蓝天白云。天气晴朗则有足够光线入水,各色绚丽的珊瑚和鱼类的色彩就更加艳丽动人。大堡礁的海水温度是从冬季最冷的摄氏23度到夏季最热的摄氏32度之间。因此在任何时间都可以下海游泳观光而不用担心会太冷哦!
☆大堡礁推荐潜水地点:
道格拉斯港(PortDouglas)
道格拉斯港是个豪华的度假小镇,这里的水域晶莹剔透,海底有着梦幻般的珊瑚礁。它虽不及凯恩斯港大,但是旅店的选择更多,而且相较于旅客较多的凯恩斯,在道格拉斯港,你可以尽情做个安静的美女纸(or美男纸)。
潜水项目千千万,选个你最心仪的方式去看美丽的珊瑚吧。
参考网址:
http://www.portdouglasdirectory.com/portdouglas/dive-day-tours.99/
使命海滩(MissionBeach)
使命海滩是汤斯维尔(Townsville)和凯恩斯(Cairns)之间的一个天然无修饰的金色海滩,这里可以找到小规模的出海团队,把最多的时间放在海中欣赏美丽的珊瑚礁。也可选择浮潜,长距离地漂流在大堡礁里,不用担心姿态万千的珊瑚看不完,当然,船会一直在身边候着,你可以随时休息。
参考网址:
http://www.missionbeachtourism.com/tours/property/Reef-Express-Mission-Beach
潜水冒险项目费用参考:成人148澳元,4-12岁儿童99澳元
浮潜项目费用参考:成人185澳元,4-12岁儿童99澳元
绿岛(GreenIsland)
名副其实,绿岛真是一片色彩艳丽,由多姿多彩的壮观珊瑚礁、大片热带雨林以及美轮美奂的白色沙滩组成,选择在颜值如此之高的地方进行潜水简直太明智!
参考网址:http://greenisland.com.au/
富克岛(HookIsland)
澳大利亚的打工度假名额受到了大家秒抢一空,可见广大青年们对澳大利亚的喜爱已经溢于言表了,那么多的潜水地点,哪个既有意思又适合“穷游”的你们一探呢?拥有众多国家公园,而同时拥有多个风格各异的深潜或浮潜地点的富克岛或者就是那个选择,还可以顺便露个营哦。
参考网址:
http://www.tourismwhitsundays.com.au/destinations/hook-island/
Round2
珊瑚可不止长在大堡礁之西澳篇
虽然大堡礁闻名遐迩,但也不是唯一一个可以看到珊瑚礁的潜水地带嘛,我们可以避开人群,进行多种选择。西澳大利亚的宁加洛海洋公园(NingalooMarinePark)是世界上最大的岸礁,拥有200种硬珊瑚、50种软珊瑚以及500多种鱼类,简直就是绚丽的热带色盘。
☆宁加洛周边潜水地点推荐:
班德吉本比斯(BundegiBombies)
班德吉本比斯的珊瑚礁保护区是入门级潜水者和浮潜者的完美之选,你可以在这里沉入一派明艳的色彩中。
埃克斯茅斯湾(ExmouthGulf)
相较于本德吉本比斯,埃克斯茅斯湾更适合潜水老手们,在入口处的海绵园中就可以看到品种丰富的大型海绵和柳珊瑚,超过250种珊瑚各领风骚,想必又是一处让人流连忘返的地儿啦!
ExmouthDive是宁加洛珊瑚礁唯一一家PADI五星潜水教育机构,提供完整的潜水培训课程,有兴趣的朋友记得马下来哦!
参考网址:http://www.exmouthdiving.com.au/
珊瑚湾(CoralBay)
顾名思义,以珊瑚为名的珊瑚湾自然是珊瑚的天堂,也是潜水爱好者观赏珊瑚礁的绝佳地点,如果你从未有过潜水经验,憋怕!拉紧教练的手吧!他会带着你畅游在珊瑚丛中,好不自在呢!
参考网址:http://www.coralbay.org/dive.html
☆交通及其他信息指引:
在珊瑚海岸水下延绵260公里的宁加洛珊瑚礁是世界上最大的边缘礁体之一。宁加洛珊瑚礁隶属埃克斯茅斯,是西澳著名旅游城市,距西澳首府珀斯1270公里。莉亚曼斯机场(LearmonthAirport)就位于埃克斯茅斯以南40公里,提供区域航线服务。珊瑚湾是一个更小的旅游据点,它们都可作为宁加洛珊瑚礁潜水之旅的好据点。
有一句话说得好:看过再多美丽的图片,都不及亲眼一睹。
所以啊,就算身体来不了,也要学会分身术~带上你的眼睛,亲眼瞧!